Sharm el Sheikh
Voyage > Afrique > Egypte
L'Hôtel
L'hôtel dans lequel nous logions fait parti d'un complexe hôtellier le Jaz Mirabel Resort composé de trois Hôtels :
- Beach Hôtel,
- Club Hôtel,
- Park Hôtel.
La majorité des clients viennent de Russie, Allemagne, Angelettere et Italie. Les français, en minorité, sont logés dans le Park Hôtel. Le personnel, mis à part les 4 représentants de Nouvelles Frontières, parle l'anglais.
La plongée
Le club de plongée ne se trouvant pas à côté de l'hôtel, tous les jours nous avions rendez vous à 7h30 à l'accueil de l'hôtel pour prendre la navette devant nous amener au club de plongée Red Sea Diving College à Naama Bay soit 30mn plus tard et après avoir récupéré les autres plongeurs dans les autres hôtels.
L'équipe des moniteurs parlant français se compose de 1 egyptien et 3 français. Nous étions encadré par Fabien ou Hervé.
Les sites de plongée à Sharm el Sheikh se répartissent sur principalement trois endroits :
- Les sites locaux proches du littoral et de Naam Bay,
- Le détroit de Tiran situé au nord,
- Le parc national de Ras Mohammed situé au sud.
La première journée s'effectue sur les sites dits "Locaux" dont la configuration et la profondeur sont idéales pour les plongées de réadaptations et permettre au moniteur d'évaluer votre niveau.
Sur les pages suivantes vous découvrirez plus en détail les sites sur lesquels nous avons plongé, la dernière page étant consacrée à notre album photos.
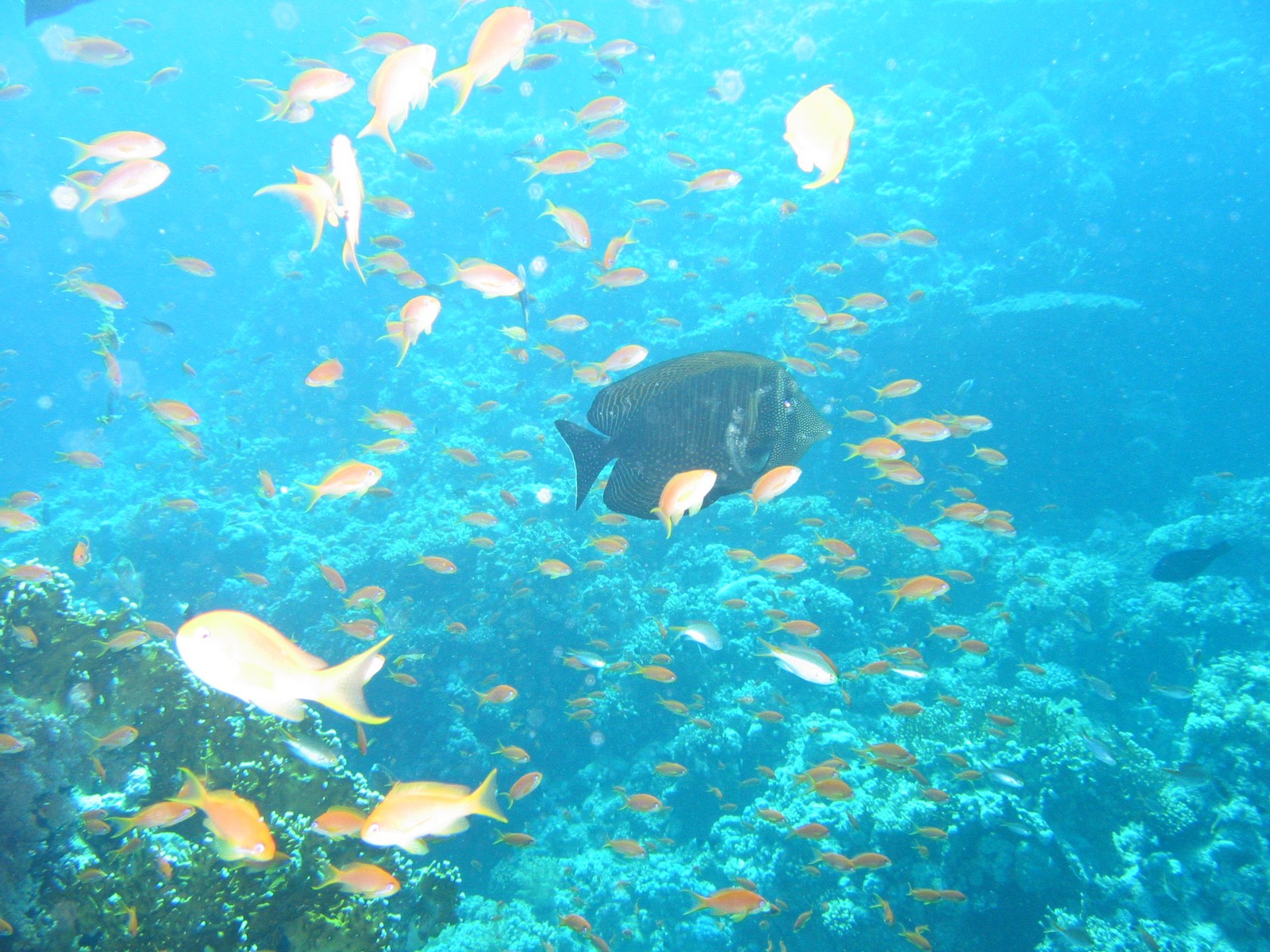
Les sites locaux

Middle Garden : Grande baie sans courant avec une zone étendue peu profonde, environ 7m, le secteur entier est recouvert de coraux. Possibilité de voir des tortues, requins baleine et raies manta dans le bleu.
Near Garden : Situé à la pointe entre la Baie des Jardins et Naama Bay, à 10mn de bâteau de Naama Bay. Le courant n'est pas très fort. La plongée se fait au mouillage. Ce site est populaire pour faire du PMT. Attention aux nombreux bâteaux à fond de verre qui polluent les lieux : surtout pollution sonore.
The Tower : Ce site est l'un des rares accessibles aussi bien du rivage qu'en bâteau. C'est une dérivante car il n'y a pas de mouillage. Une fois à l'eau on retrouve ici la topographie de récif d'une profondeur de 10m prolongé par une pente à 45° couverte de patates coralliennes.
Ras Katy : Plongée variée. On y trouve de magnifiques patates coralliennes qui remontent à fleur d'eau et regorgent de vie.
Jakson Reef : Il s'agit du récif le plus au Nord du détroit de Tiran. Les plongées se font généralement au mouillage, côté sud. Les coraux sont réputés pour être les plus beaux de tout le littoral.
Gordon Reef : Ce site est constitué d'un plateau peu profond et d'un tombant. L'épave du Lovilla repose toujours sur la partie émergée nord du récif. Les plongées se déroulent habituellement au mouillage. On peut régulièrement y apercevoir des requins quand on est chanceux. Et ce ne fût pas notre cas.
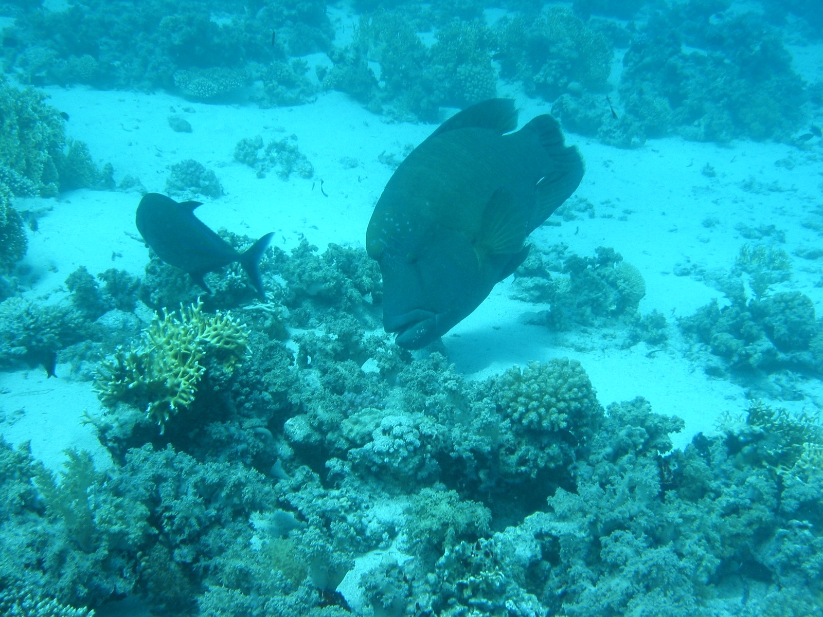
Ras Mohammed
Shark / Yolanda Reef : De tous les sites c'est celui que nous avons trouvé le plus beau, il est considéré comme un des dix plus beaux sites du monde. Il se compose de petits plateaux Anemone City, Shark Reef et Yolande Reef. La plongée se déroule toujours en dérive ayant pour point d'entrée Anemone City ou si le courant est trop fort Shark Reef. C'est une plongée sportive. Au départ vous rencontrez un courant contraire associé à un courant venant du haut et vous attirant vers le fond. Ensuite après avoir dépassé Shark Reef vous pourrez vous reposer en vous laissant dériver par un courant porteur vers Yolanda. Murène géante, poisson pierre, raie pastenague à points bleus peuvent y être observés en permanence. Yolanda était un cargo chargé de sanitaires (wc, bidets, beignoires) qui s'est échoué sur le récif. Il est devenu un abri important pour l'abondante faune environnante.
Jack Fish Alley : Ce site est souvent la deuxième plongée du jour. Dérivant avec le courant, c'est une plongée facile et relaxante. On y trouve deux grottes accessibles avec des entrées et sorties séparées. A partir d'une longue allée de sable bordant le récif on peut observer régulièrement le passage de bancs de Carrangues (Jackfish).











